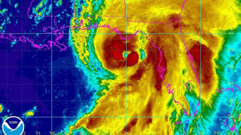
Сезонът на ураганите в Атлантическия океан започва в петък, като тази година се очаква активността на ураганите да бъде над нормалната. За това предупредиха метеоролозите от Националната океанска и атмосферна администрация на САЩ, цитирани от АП.

"Прогнозата на Националната океанска и атмосферна администрация показва с 85 % вероятност, че активността на ураганите и броят им ще бъдат над нормалните", се казва в съобщение на уебсайта на ведомството.

Метеоролозите предупреждават, че броят на ураганите през тази година може да варира от 17 до 25. От тях осем до 13 ще достигнат статут на ураган, със скорост на вятъра от 33 метра в секунда или по-висока, а четири до седем бури вероятно ще бъдат силни, което означава, че ще отговарят на категории 3, 4 или 5 по скалата на Сафир-Симпсън.

Метеоролозите обясняват, че повишената активност на ураганите през тази година е свързана по-специално с високите температури на водата в Атлантическия океан, развитието на явлението "Ниня", т.е. охлаждането на екваториалната част на Тихия океан и отслабването на пасатите в Атлантическия океан. Всичко това благоприятства образуването на тропически бури.

Сезонът на ураганите в Атлантическия океан продължава от 1 юни до 30 ноември.

Скалата за урагани на Сафир-Симпсън класифицира ураганите в пет категории въз основа на интензивността на ветровете в тях.

Ураганите от категория 3 могат да имат скорост на вятъра до 58 метра в секунда. Те могат да причинят структурни щети на домове и стопански постройки и да разрушат сгради, които нямат силни основи и предизвикват наводнения на места, отдалечени от брега.

Армията въвежда ред в опустошения от ураган Акапулко

Армията въвежда ред в опустошения от ураган Акапулко

Мексиканските власти искат да спрат мародерите, разграбващи съсипаните жилища и хотели

Ураганите от категория 4 имат още по-катастрофални последици. Скоростта на вятъра при тези урагани варира от 58 до 70 метра в секунда. Тези урагани предизвикват обширна ерозия на плажовете и заливат райони далеч във вътрешността на страната. Четвърта категория включва по-специално най-смъртоносния ураган в историята на САЩ - "Галвестън", който удря през 1900 г.

Ураганите от пета категория - най-високата категория - могат да причинят пълно разрушаване на сгради. Те могат да достигнат скорост на вятъра от 70 метра в секунда или повече. Ураганите от тази категория могат да причинят тежки наводнения, покачване на водата в моретата и океаните, както и излизане на реки от бреговете им. Ветровете на тези урагани изтръгват от корените им почти всички дървета.